Leave a Message

Thank you for your message. I will be in touch with you shortly.

Explore Properties

Property Description

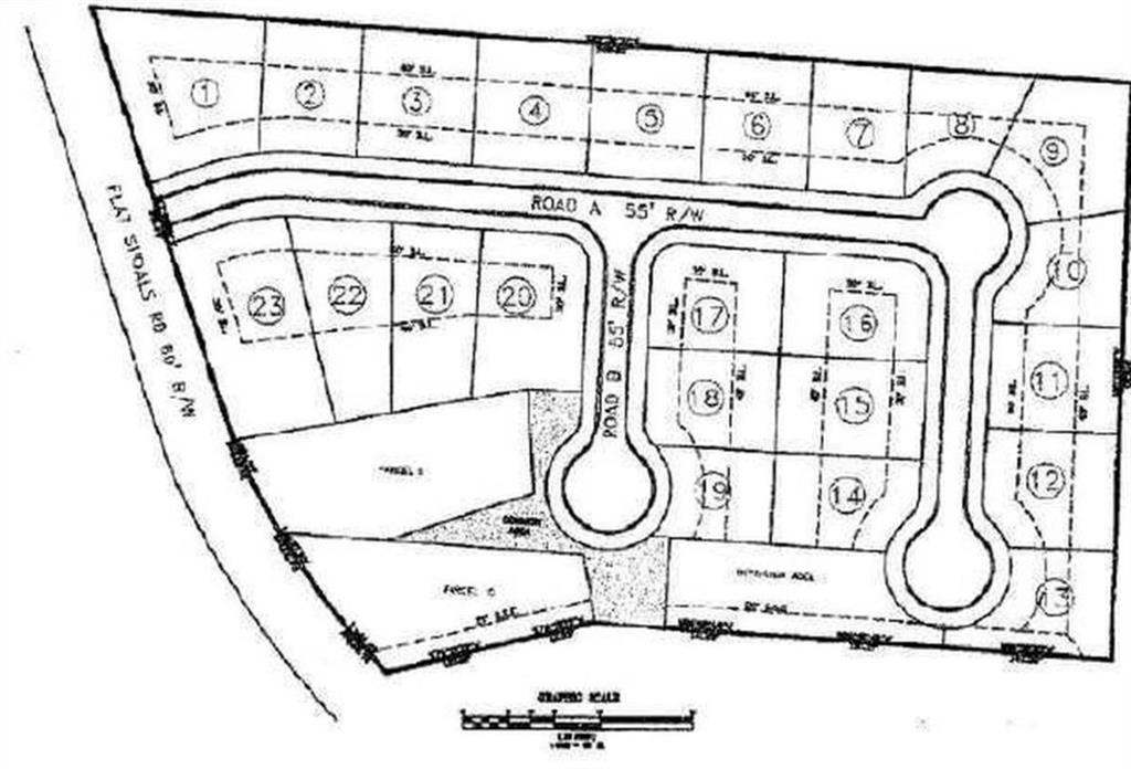
Exceptional residential land development opportunity in
Decatur, DeKalb County, Georgia. This assemblage of five contiguous parcels along Flat Shoals Road
totals approximately 9.1 gross acres and is positioned for subdivision development under the county's
R75 zoning classification, with a viable path to R60 cottage-style rezoning for higher-density yield if
desired. Sellers are offering a price discount for an earlier closing.

Overview

Property Status
For Sale
Lot Size
9.1 Acres
MLS ID
7738803
Property Type
Land

Features & Amenities

Water Frontage
None
View Description
Neighborhood
Utilites
Electricity Available, Sewer Available
Lot Features
Level, Other
Security Features
None
Elementary School
Dekalb - Other
Middle School
McNair - Dekalb
High School
McNair
Sales Price
$950,000
Real Estate Tax
$1,309/yr
Zoning
R-75

Downloads

2648 Flat Shoals Road

Schedule a Tour

I would love to help you see this beautiful home! As a full-service brokerage, I can help you tour. Please submit an offer, and answer questions about the buying process.

Thank you

for your interest in 2648 Flat Shoals Road, Decatur, GA 30034

2648 Flat Shoals Road
Navigate

Mortgage Calculator

Estimate your monthly mortgage payment, including the principal and interest, property taxes, and HOA. Adjust the values to generate a more accurate rate.
$0,000 Your Payment 20 15 65
$0,000 Your Payment

I'm Interested In

2648 Flat Shoals Road

or
  • CallJim Stern

    License #426856

    (678) 369-3793
  • Follow Us On Instagram